PARTadmin -> Category -> PARTsolutions -> ERP environment -> Roles
In order to prevent uncontrolled part creation it makes sense to restrict the export into the CAD system. In this case the designer should have the possibility to request the desired part via e-mail.
The respective button is found in the ERP toolbar.
When clicking on
the button
Request ERP number per e-mail the dialog box new ident-no.
opens.
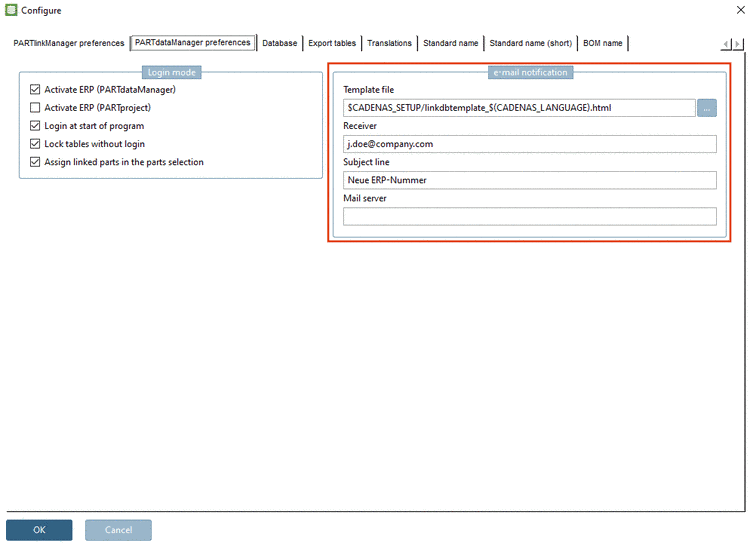
The basic settings can either be made in the PARTlinkManager (role-independently) or in PARTadmin (role-dependently).
PARTlinkManager -> Extras -> Configure ERP environment -> tabbed page PARTdataManager preferences -> e-mail notification
Basic setting role-independently
The entries are read in and from the configuration file under
$CADENAS_SETUP/plinkcommon.cfg.[MAIL] TEMPLATE=$CADENAS_SETUP/linkdbtemplate_$(CADENAS_LANGUAGE).html SENDTO=j.flotho@cadenas.de SUBJECT=Neue ERP-Nummer SERVER=mailserver.company.internal
PARTadmin -> category Roles -> Roles selection -> tabbed page Mail
Basic setting role-dependently
The entries are read in and from the configuration file
plinkgroups.cfg.[Rollenname] TEMPLATE=$CADENAS_SETUP/linkdbtemplate_$(CADENAS_LANGUAGE).html SENDTO=name@cadenas.de SUBJECT=My special subject SERVER=mailserver.company.internal
The design of the
dialog box is configured under $CADENAS_SETUP/erpcustom.cfg -> Block
[USERDIALOG(Role_name)]. For details please see Section 4.12, “Timestamp
number on/off”.
[USERDIALOG(ECAT4)] NB=NB,Normbezeichnung:,0,0,,0,1,,,,, NTLANG=NTLANG,NTLANG:,0,0,,0,1,,,,, NN=NN,Norm:,0,0,,0,1,,,,, LINALANG=LINALANG,LINALANG:,0,0,,0,1,,,,, Werkstoff=MAT_NAME,Werkstoff:,1,1,,1,1,material_assign.cfg,full,,.* PriceDE=PRICE4,Price Germany:,1,1,[cint(20*rnd+10)],1,1,,,,[0-9]*,0,1,1,,,,[0-9]*
This
configuration is either used for Add dataset to link database
and for Request ERP number per e-mail
.
Request ERP number per e-mail: The basic dialog gets added the respective fields from plinkcommon.cfg or plinkgroups.cfg.


![[Note]](https://webapi.partcommunity.com/service/help/latest/pages/fr/partsolutions_admin/doc/images/note.png)



