Le workflow lors de la création d'une association de 2 ou 3 serveurs (cluster) [1 maître et 1 ou 2 sauvegardes] se présente comme suit :
Prérequis : Tous
Les serveurs de licences requis sont installés sans licence.
Voir Installation du serveur FLM - Licences
application/importation. Si nécessaire, assurez-vous que
sous C:\ProgramData\PARTsolutions
Licenseserver dans un répertoire sitesetup éventuellement existant
aucune entrée. En aucun cas, vous ne devez copier manuellement les fichiers de licence
dans! Le fichier de licence doit être créé via l’interface utilisateur
peut être enregistré.
Ouvrez la gestion du serveur de licences à partir de n'importe quel client en cliquant sur le bouton Démarrer la gestion du serveur de licences [Start license server management...]....
-> La boîte de dialogue Établir une connexion avec le serveur FLM [Connect to FLM server...]... s'ouvre.
Sélectionnez l'option Configurer le serveur de licences nouvellement installé [Configure newly installed license servers].
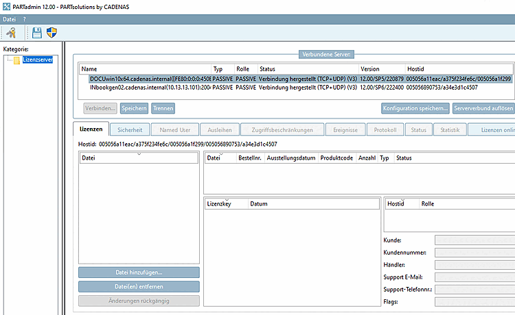
-> Tous les serveurs de licences trouvés s'affichent.
Sélectionnez par un simple clic les serveurs avec lesquels vous souhaitez créer une association de serveurs et confirmez en cliquant sur .
Les serveurs de licence sélectionnés s'affichent dans la zone de dialogue Serveurs connectés [Connected servers] (type et rôle encore sur PASSIF).
Si vous n'avez pas encore reçu votre licence, vous pouvez la demander sur la page d'onglet Demander des licences en ligne [Request licenses online].
Avec Cliquez sur vous pouvez enregistrer un
*.json-Datei(fichier texte), qui contient également les adresses réseau (hostids).Cliquez sur le bouton pour sauvegarder la configuration de l'association de serveurs. (Avec , vous pouvez couper la connexion à la communauté de serveurs. -> La zone d'affichage est alors à nouveau vide).
Pour installer la licence qui vous a été envoyée, connectez-vous à nouveau au cluster créé.
-> La boîte de dialogue Établir une connexion avec le serveur FLM [Connect to FLM server...]... s'ouvre à nouveau.
Sélectionnez cette fois l'option Configurer le serveur de licences existant [Configure existing license server].
Sélectionnez le groupe de serveurs que vous avez créé et confirmez en cliquant sur .
Sélectionnez l'onglet Licences [Licenses] et cliquez sur Ajouter un fichier.... [Add file...] Dans la fenêtre de l'explorateur, déterminez le fichier de licence souhaité.
-> La licence s'affiche dans la boîte de dialogue.
Passez à la page d'onglet Sécurité [Security].
Vous devez impérativement attribuer un mot de passe. Pour cela, activez l'option Activer la protection par mot de passe [Activate server password]. (L'attribution d'un mot de passe peut éventuellement être effectuée dès la lecture des hostids).
Attribuez un mot de passe et confirmez en cliquant sur .
-> L'affichage sous Type / Rôle [Role] passe à MASTER / BACKUP.
Pour finir, vous devez encore saisir le mot de passe attribué.
Passez à la page d'onglet Licences [Licenses].
Si tout est au vert, l'exploitation peut commencer.









![[Remarque]](https://webapi.partcommunity.com/service/help/latest/pages/fr/partsolutions_user/doc/images/note.png)


