The setting options for the analyses "Make or Buy", "Cost mockup" and "Suppliers" are widely identical so that they are explained together.
On the left side, activate the desired method. Then on the right the respective setting options are displayed.
Analysis name: The name is displayed as tab label on the respective result page.
Maximum number of search result: Herewith you can restrict the number of displayed results. This does not affect the search itself.
You can see the search results when opening a result either by clicking on the plus sign
or via icon Expand all
.
Variable filter: Not used for Make or Buy, Cost mockup and Suppliers Analysis, only relevant for Duplicate Analysis
Source part filter and Quellteile-Filter:
An analysis can be performed only for a certain group of parts. For this use the Source part filter.
Furthermore also the result parts can be filtered. For this use the Quellteile-Filter.
In both cases the filters Full-text search, Variables search and Topology search are available. When clicking on Add search function, the functions can be used multiple times.
Example 1: Filtering the source parts to be used
For example by Variables search, you can determine that the source parts to be used have to have e.g.
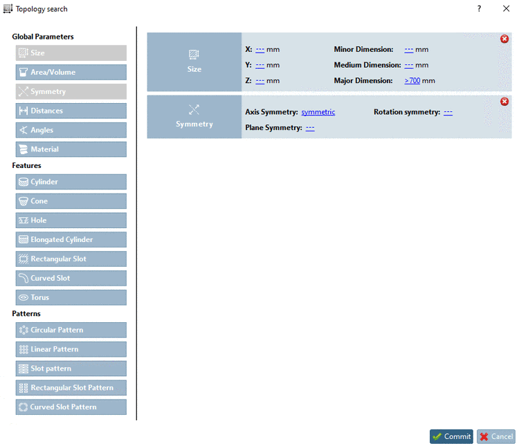
MAT_NAME=Steeland for the candidates it doesn't matter (perhaps ERP numbers have not been assigned yet).For example, by using the Topology search, a certain group of parts could be specified, for which search shall be performed (e.g. axially symmetric parts larger than 700 mm).
Example 2: Filtering result parts
If you want to get only parts with holes in the result, for example, on the tabbed page Quellteile-Filter specify a search with Hole -> Amount > 0.
The functionality corresponds to the other standard search functions:
Details on Full-text search can be found under Section 3.1.6.4.3.2, “ Full-text search: Search options in detail ”.
Details on Variables search can be found under Section 3.1.6.4.5, “ Variables search ”.
Details on Topology search can be found under Section 3.1.6.4.12, “ Topology search ”.
Filter mirrored parts: If the option is activated mirrored parts are filtered.
Threshold: Set minimal tolerated similarity here.
Search in the following directories: Activate those directories via checkbox, which you want to include for the search.
In the list field, select the desired column, which contains the price information. The price information is displayed at all search results later (if available).
Ignore projects without price information:
The activation can accelerate the search. On the other hand very similar parts are possibly not included in the comparison anymore.

![[Note]](https://webapi.partcommunity.com/service/help/latest/pages/it/partsolutions_user/doc/images/note.png)






