1.3.7.3. Complete procedure from A to Z

  1. Load the part to be classified in the CAD system.

  2. Click the button Classify part.

    -> Depending on settings and circumstances, possibly the dialog Choose Application is opened.

    -> The Classify dialog is opened.

  3. In the dialog, all found classes exceeding the set minimum similarity are shown.

    The catalog with the existing class structure is set under $CADENAS_USER\classificationwizard.cfg-> block Settings -> key SearchFolders.

    The minimum similarity is set in $CADENAS_USER\classificationwizard.cfg-> block Settings -> key Similarity.

  4. On the desired class, perform a double-click. (In this example this is mounting/angle20holder.prj)

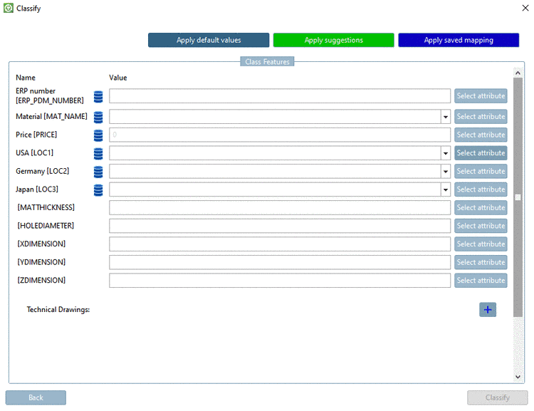
    -> The Classify dialog with a listing of the ERP variables (marked with ) and the variables of the characteristic attribute table is shown.

    Classify dialog

    Classify dialog

    The variables have been taken from the characteristic attribute table of the chosen target part.

    Characteristic attribute table exemplarily in PARTdataManager

    Characteristic attribute table exemplarily in PARTdataManager

    Characteristic attribute table exemplarily in 3DFind.it

    Characteristic attribute table exemplarily in 3DFind.it

    Now fill out the single fields of the part to be classified. There are different options:

    • Manual input (in this example ERP number, material and price)

    • List field selection (if defaults exist)

    • Select attribute : When clicking the button, the Attribute selection dialog with a listing of all topological attributes is opened. Assign the desired values and confirm with OK.

      The figure exemplarily shows the assignment of the "Z" attribute in category "Size".

      The figure exemplarily shows the assignment of the "Z" attribute in category "Size".

    • Apply default values : Necessary values will be set by Apply default values. All such values are initially displayed in light gray (see e.g. in Fig. „ Classify dialog“ the value of "Price")

      The use of Apply default values enables the Classify button. Manual setting of all light gray values should also enable the button.

      (Once one of the methods out of Apply default values or Apply suggestions or Apply saved mapping has been used, the button is active.)

    • Apply suggestions : Condition for the display of suggestions is that there are matching attributes in source and target project. If now the mouse cursor is moved over the button, the suggestions are displayed in green. Clicking the button confirms the use. Anytime you can perform changes with Select attribute further on.

    • Apply saved mapping : If the mouse cursor is moved over the button, saved mappings are shown in blue. Clicking on the button confirms the use. Anytime you can perform changes with Select attribute further on.

  5. Optionally, you can add Technical Drawings.

    In the list field, select the desired language and then click on the browse button ... in order to select the desired file.

    Using you can create more lines, using you can delete entries.

  6. Click on the Classify button.

    (Once one method out of Apply default values or Apply suggestions or Apply saved mapping has been applied, the button becomes active.)

    -> The classification process will start and one after another two messages appear in the taskbar right on the very bottom: First Classification process successfully started on and then finally The classification process was successful.

  7. Now open the table of the target part.

    -> The part to be classified has been added to the chosen target part in the form of a new table row.

    Classified part in PARTdataManager

    Classified part in PARTdataManager

    Classified part in 3DFind.it

    Classified part in 3DFind.it