Der Workflow beim Anlegen eines 2er oder 3er Serververbundes (Clusters) [1 Master und 1 oder 2 Backup] sieht folgendermaßen aus:
Voraussetzung: Alle
benötigten Lizenzserver sind ohne Lizenzen installiert. Siehe Abschnitt 3.9, „Lizenzserver-Installation - Lizenzen
beantragen/einspielen“ in Installation - Handbuch. Stellen Sie gegebenenfalls sicher, dass sich
unter C:\ProgramData\PARTsolutions
Licenseserver in einem evtl. existierenden sitesetup-Verzeichnis
keine Einträge befinden. Kopieren Sie in keinem Fall manuell Lizenzdateien
hinein! Die Lizenzdatei muss unbedingt über die Benutzeroberfläche
eingespielt werden.
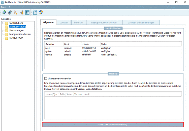
Öffnen Sie die Lizenzserver-Verwaltung von einem beliebigen Client aus, indem Sie auf den Button Starte Lizenzserver-Verwaltung... klicken.
-> Das Dialogfenster Verbindung mit FLM-Server herstellen... wird geöffnet.
Wählen Sie die Option Neu installierten Lizenzserver konfigurieren.
-> Alle gefunden Lizenzserver werden angezeigt.
Selektieren Sie per Einfachklick diejenigen Server, mit denen Sie einen Serververbund erstellen möchten und bestätigen Sie mit .
Die gewählten Lizenzserver werden im Dialogbereich Verbundene Server angezeigt (Typ und Rolle noch auf PASSIVE).
Sofern Sie Ihre Lizenz noch nicht erhalten haben, können Sie diese auf der Registerseite Lizenzen online beantragen anfordern.
Mit Klick auf können Sie eine
*.json-Dateispeichern (Textdatei), die ebenfalls die Netzwerk-Adressen (hostids) enthält.Klicken Sie auf den Button , um die Konfiguration des Serververbundes abzuspeichern. (Mit können Sie die Verbindung zum Serverbund trennen. -> Der Anzeigebereich ist dann wieder leer.)
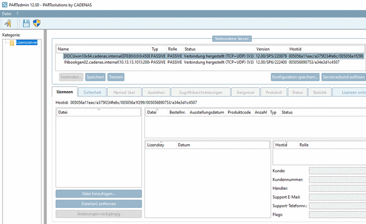
Um die Ihnen zugestellte Lizenz einzuspielen, verbinden Sie sich wieder mit dem erstellten Cluster.
-> Das Dialogfenster Verbindung mit FLM-Server herstellen... wird wieder geöffnet.
Selektieren Sie diesmal die Option Bestehenden Lizenzserver konfigurieren.
Selektieren Sie den von Ihnen angelegten Serververbund und bestätigen Sie mit .
Wählen Sie die Registerseite Lizenzen und klicken Sie auf Datei hinzufügen.... Bestimmen Sie im Explorer-Fenster die gewünschte Lizenzdatei.
-> Die Lizenz wird im Dialog angezeigt.
Wechseln Sie auf die Registerseite Sicherheit.
Sie müssen zwingend ein Passwort vergeben. Aktivieren Sie hierzu die Option Passwortschutz aktivieren. (Die Passwortvergabe kann evtl. auch schon beim Auslesen der Hostids erfolgen.)
Vergeben Sie ein Passwort und bestätigen Sie mit Klick auf .
-> Die Anzeige unter Typ / Rolle wechselt auf MASTER / BACKUP.
Abschließend müssen Sie noch das vergebene Passwort eintragen.
Wechseln Sie auf die Registerseite Lizenzen.
Wenn alles auf grün steht kann der Betrieb aufgenommen werden.









![[Hinweis]](https://webapi.partcommunity.com/service/help/latest/pages/de/partsolutions_admin/doc/images/note.png)


